三农科普|心间常记顺口溜 大豆花生保丰收
发布时间:2025-07-30 14:57:13 | 来源:中国网 | 作者:李恒羽 张智 | 责任编辑:王静大豆
大豆生产要注意,病虫防控不容易。
刺吸害虫有两种,点蜂缘蝽与蚜虫。
苗期蚜虫传病毒,染病植株叶不同。
食叶害虫有四种,苗期主防棉铃虫。
后期夜蛾余三种,甜菜斜纹和银纹。
点蜂缘蝽吸豆荚,开花结荚要防它。
叶部病害有两种,病毒细菌先后来。
病毒显在幼苗期,植株矮小花难开。
若是后期细菌染,叶片褐黄发病快。
一田多诱监测早,综合防控效果好。
苗壮叶茂籽粒饱,大豆丰收产量高。

豆蚜

大豆病毒病

棉铃虫

斜纹夜蛾

银纹夜蛾

甜菜夜蛾

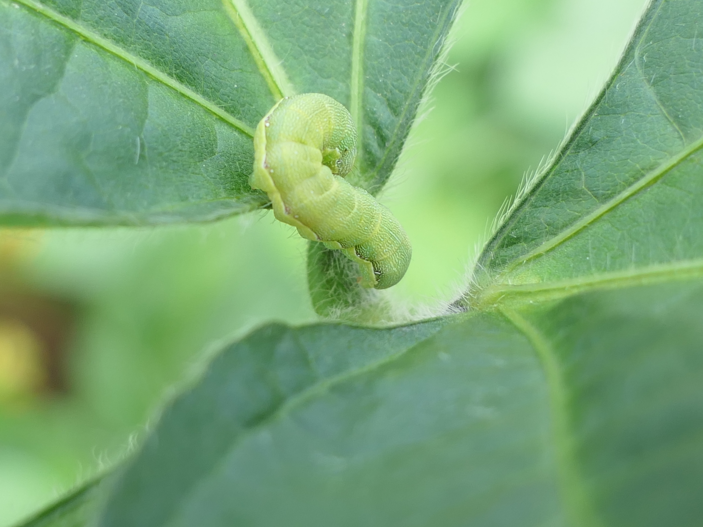
点蜂缘蝽

风叶型诱捕器(点蜂缘蝽)

大豆细菌性叶斑病
花生
花生种植防病虫,四虫两病记心中。
两种害虫地下藏,金针蛴螬把根伤。
鳞翅害虫啃叶片,苗期荚期都遭殃。
后期易生两斑病,网斑褐斑有影响。
网斑易呈黑褐色,病斑相连叶枯黄。
褐斑边缘黄棕色,中央凹陷透亮光。
花生病虫及时防,高产丰收有希望。

网斑病

褐斑病

棉铃虫

甜菜夜蛾
小贴士
●大豆:目前正值大豆开花结荚期,需重点关注点蜂缘蝽为害。点蜂缘蝽成虫和若虫在大豆开花结实时群集为害,刺吸叶片、嫩梢及豆荚汁液,引起刺吸点叶脉变黑,致使蕾、花凋落,造成大豆“症青”现象;食叶害虫需要重点关注甜菜夜蛾和斜纹夜蛾;病害需关注细菌性叶斑病,大豆生产中后期易发生。
●花生:目前花生正值结荚期,生产重点关注二种地下害虫、二种食叶害虫和二种病害。二种地下害虫即金针虫和蛴螬;二种食叶害虫即棉铃虫和甜菜夜蛾,苗期至结荚期的成灾风险一直较高;二种病害即网斑病和褐斑病,中后期易发生。
作者:李恒羽 张智
供稿:北京市农业农村宣传中心

